Camp Coxcomb

Desert Training Center Sky Trail

An interpretive aerial tour of General Patton's 1942 WWII Training Center

Camp Coxcomb

Camp Coxcomb
Field PX at Camp Coxcomb, 1943
Relief Map and Tents
DTC Divisional Camp Coxcomb Relief Map used for maneuvers planning.

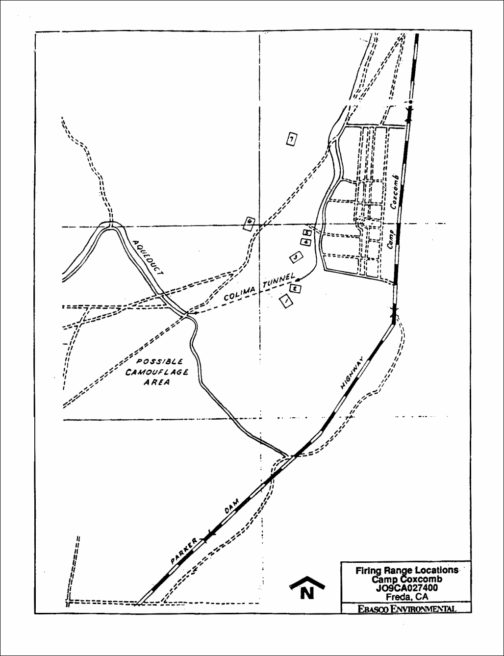
Located between California Highway 177 and the MWD aqueduct, Camp Coxcomb was originally constructed in the summer of 1942. Among units known to have been stationed at Camp Coxcomb were the 7th Armored and the 85th Infantry Divisions. The 7th Armored Division was stationed at the camp during the expansion to a theater of operation in June 1943. During the XV Corps occupation of the DTC/C-AMA (July-November 1943), the 85th Infantry was transferred from Camp Pilot Knob to Camp Coxcomb, in August. The 95th and 93rd Infantry Divisions also trained at the camp, although it is not known when. Camp Coxcomb was apparently more permanent than other camps (including Camp Pilot Knob), with wooden floors and screens in the post exchange (PX), although the roof was tent canvas and the latrines were more elaborate with wooden floors and screens. Facilities at the camp included 39 shower buildings, 165 latrines, 284 pyramidal wooden tent frames, one 40,000-gallon water tank, and one combination observation and flag tower. There was also a relief map of the DTC/C-AMA and a stone altar, much like those at Camp Iron Mountain. Ranges included infiltration courses and machine gun, rifle, and pistol ranges. These ranges were located on the north side of the MWD aqueduct, at the foot of the Coxcomb Mountains. Some of the adjacent canyons west of camp were also used for small-unit training.

Current Condition

A paved road leads to the Coxcomb Tunnel off of California Highway 177. This road lies immediately south of the camp itself, and several camp roads head north off of it . The MWD aqueduct lies immediately west of the camp before it enters a tunnel through the mountains, and a road paralleling the aqueduct forms the western boundary of the camp. California Highway 177 lies to the east, less than 1 mile away. A large portion of the camp has been completely washed away, although there are many well-defined roads and walkways in other portions of the facility. Rock-lined insignias also remain in various portions of the camp. An altar constructed of native rock and mortar still remains, and it has been maintained by volunteers. I. H. S. is etched into the altar, representing a Greek symbol for Jesus. A cross on the altar is made from a water-barrel hoop. A small relief map is near the flag circle in the southern portion of the camp, which was fenced by the BLM in 1984. The relief map contains a few small sign boards.[1]

Firing Range Locations
Firing Range Locations
Street Layout with feature locations
Street Layout with feature locations
Looking from the west
Looking from the west toward California Route 177

[1] The Desert Training Center/California-Arizona Maneuver Area,1942-1944 HISTORICAL AND ARCHAEOLOGICAL CONTEXTS; Matt C . Bischoff

Other remnants of the Camp include rock designs of military insignia and the stone work which lines the camp roads and walkways

The original roadway network has deteriorated a great deal due to scouring by erosion and the emergence of natural vegetation. The altar at Camp Coxcomb, located on the southwest corner of East Tent Road and 5th streets, remains in good condition, and was constructed of native rock, and held together with mortar. I.H.S. etched on the altar is from the Greek - Iota Eta Sigma, used as a Christian symbol or monogram for Jesus. The cross is made from a water barrel hoop. The contour map has deteriorated appreciably. Most of the wooden signs on the map, which identified camps and significant features of the center, are no longer legible. The concrete protective surface used to hold the topographic features in shape has been broken. As a result, erosion has taken its toll on the map surface. A six-foot high fence was constructed around this map in 1984 by the Bureau of Land Management (BLM) to preserve what remains of this feature.

According to a BLM report, seven firing range areas are located on the Camp Coxcomb-site. These accommodated small arms practice. All of these ranges are within the boundaries of the camp. Historical reports also suggest that land mines and grenades were used in the area.